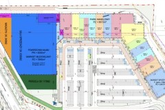
Nowa Castorama w Zawierciu – trwa budowa pierwszego w regionie sklepu tej sieci , który stanie się częścią nowoczesnego parku handlowego. Inwestycja realizowana jest na skrzyżowaniu ulic Wojska Polskiego (DK78) i Inwestycyjnej, w bezpośrednim sąsiedztwie Strefy Aktywności Gospodarczej. Dzięki temu lokalizacja zapewni dogodny dojazd zarówno mieszkańcom miasta, jak i osobom z okolicznych miejscowości.
Nowa Castorama będzie integralnym elementem parku handlowego o łącznej powierzchni sięgającej kilkunastu tysięcy metrów kwadratowych. Sama powierzchnia sklepu Castorama wyniesie aż 8 250 m², co pozwoli na stworzenie szerokiej i kompleksowej oferty produktów budowlanych, remontowych, wykończeniowych oraz ogrodniczych. Dla klientów zaplanowano przestronny parking z około 430 – 440 miejscami postojowymi, co zapewni komfortowe zakupy nawet w godzinach największego ruchu.
Inwestorem projektu jest firma PKB Inwest Budowa, realizująca przedsięwzięcie we współpracy z Black Oak Real Estate. Prace budowlane rozpoczęły się w IV kwartale 2024 roku, natomiast zakończenie inwestycji i oficjalne otwarcie sklepu planowane są na III kwartał 2025 roku.
Nowy obiekt znacząco poprawi dostęp mieszkańców Zawiercia i okolic do specjalistycznych artykułów budowlanych i wyposażenia wnętrz. Dzięki temu klienci nie będą już musieli dojeżdżać do sklepów Castorama oddalonych o około 30 km, m.in. do Sosnowca czy innych miast aglomeracji śląskiej.
Park handlowy z bogatą ofertą
Oprócz Castoramy w ramach parku handlowego powstaną także inne punkty handlowo-usługowe. Inwestorzy zapowiadają obecność znanych i cenionych marek, zarówno polskich, jak i zagranicznych. Wśród najemców znajdą się najprawdopodobniej m.in.:
-
Lidl
-
HalfPrice,
-
TEDI,
-
Worldbox,
-
Woolworth,
-
Rossmann,
-
Smyk
Tak szeroka i zróżnicowana oferta ma zapewnić mieszkańcom regionu możliwość kompleksowych zakupów w jednym miejscu – od artykułów spożywczych, przez odzież i wyposażenie domu, aż po produkty do remontu i ogrodu.
Ruszyła rekrutacja do Castoramy w Zawierciu
Wraz z postępem prac budowlanych Castorama rozpoczęła rekrutację do nowego sklepu w Zawierciu. To doskonała okazja dla osób poszukujących stabilnego zatrudnienia w dużej, renomowanej firmie oraz możliwości rozwoju zawodowego.
Obecnie poszukiwani są kandydaci na stanowiska:
-
Koordynator/ka ds. Klientów Pro
-
Projektant/ka Wnętrz
-
Asystent/ka ds. Administracyjnych
-
Zastępca/-czyni Kierownika/-czki Sektora (Handlowego)
-
Zastępca/-czyni Kierownika/-czki Sektora Wsparcia Sprzedaży
Szczegółowe informacje dotyczące ofert pracy oraz możliwość aplikowania dostępne są na stronie rekrutacyjnej Castoramy: Kariera Castorama
Powstająca Castorama oraz nowy park handlowy to nie tylko ważna inwestycja handlowa, ale także impuls rozwojowy dla całego regionu – nowe miejsca pracy, wygoda zakupów i wzmocnienie lokalnej gospodarki.
Drodzy Czytelnicy
Jeśli macie ciekawy temat, którym chcielibyście się podzielić, historie, które zasługują na światło dzienne, lub pomysł na artykuł, który warto poruszyć – czekamy na Wasze wiadomości!
Skontaktujcie się z nami, wysyłając e-mail na adres: kontakt@kulturalnezawiercie.pl lub wiadomość poprzez nasze media społecznościowe. Jesteśmy otwarci na Wasze propozycje i z przyjemnością zgłębimy interesujące wątki.
Tworzymy tę przestrzeń z myślą o Was, dlatego Wasze inspiracje są dla nas niezwykle cenne.
- Noworoczny Turniej Piłki Ręcznej o Puchar Virtu – Zawiercie stolicą młodzieżowej piłki ręcznej
- Góralska energia w Zawierciu! Baciary na żywo w MOK „Centrum”
- Nowa Komendant Komendy Powiatowej Policji w Zawierciu
- Nowoczesny aquapark w Zawierciu – inwestycja warta ponad 53 mln zł
- Szpital Powiatowy w Zawierciu – Transformacja cyfrowa i nowoczesna opieka
- Dwa nowe autobusy dla Zawiercia! Miasto konsekwentnie odświeża flotę komunikacji miejskiej
- „Środy z KSeF” w Zawierciu – praktyczne szkolenia dla przedsiębiorców już od stycznia
- Ogień i wybuch butli gazowej w Pilicy. 73-latek trafił do szpitala
- Nowe zadaszone boisko wielofunkcyjne w Zawierciu przy ul. Wierzbowej
- Wiedeński blask w Zawierciu. Noworoczna Gala już 13 stycznia w MOK
- Wspólne Kolędowanie na Placu Jana Pawła II w Zawierciu
- Opóźnione marzenia mieszkańców osiedla Park Paderewskiego w Zawierciu
